澳洲大堡礁白化问题日益严重 气候变化导致丧失一半珊瑚
澳洲大堡礁白化问题日益严重 气候变化导致丧失一半珊瑚
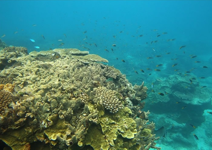
(蜘蛛网eeook.com报道)据东网:澳洲大堡礁的珊瑚白化问题日益严重,海洋学家周三(14日)发表研究报告,指出气候变化导致当地丧失一半珊瑚,警告若全球平均气温持续上升摄氏2度以上,令海洋温度高企,珊瑚规模只会进一步萎缩。
研究显示,大堡礁在1995年至2007年期间,珊瑚数目及品种下跌超过50%,其中佛州轴孔珊瑚(breach coral)及桌形轴孔珊瑚(table-shaped coral)最为严重。来自昆士兰省的珊瑚研究中心的学者休斯(Terry Hughes)及迪策尔(Andy Dietzel)表示,接踵而来的大规模白化令三分之二的珊瑚受损,并发现大堡礁的复原能力不复当年,受损速度比复原快。
首宗大堡礁珊瑚大规模白化是在1998年出现,截至2017年已发生了4次,今年初的珊瑚各类型白化情况仍有待研究。学者呼吁要尽快大幅减少温室气体排放,上述详细研究报告已刊登于英国科学期刊《皇家学会报告B系列》。













