首页
天文
航天
地球
科技
环保
医学
健康
地理
军事
历史
动物
植物
古生物
恐龙
考古
奥秘
探险
自然
外星人
水怪
野人
灵异
发明
博览
蜘蛛网
地理
奥地利的阿尔卑斯山上立起100多个真人大
奥地利的阿尔卑斯山上立起100多个真人大小裸体塑像 奥地利的阿尔卑斯山上立起...
濒危世界遗产再增四处
美国南佛罗里达的大沼泽地国家公园 乌干达卡苏比王陵富有民族特色的圆锥形茅...
探险队员遭北极熊袭击
一头在挪威斯瓦尔巴特群岛的北极熊 挪威探险队员,22岁的塞巴斯蒂安·尼尔森与同...
英国男子创造吉尼斯纪录 骑单车环球旅行
英国男子创造吉尼斯纪录 骑单车环球旅行 英国一名34岁男子日前创造一项新的吉尼...
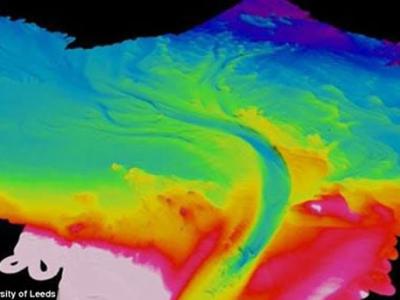
科学家在黑海下发现世界第6大河
3D影像下的黑海水下河 3D影像下的黑海水下河 发现海地河流的位置 据英...
巴西的“拉克依斯马拉赫塞斯”
缎带般的沙丘锁住雨水 仍然被雨水浸渍的土地上,一条河流掺杂着来自附近森林中...
河北省唐山地震博物馆开馆
河北省唐山地震博物馆开馆 7月28日,河北省唐山地震博物馆开馆。该馆位于唐...
世界恐龙谷重现“侏罗纪”
世界恐龙谷重现“侏罗纪” 世界恐龙谷重现“侏罗纪” 7月...
撒哈拉沙漠发现数千年陨石坑
撒哈拉沙漠发现数千年陨石坑 研究人员在使用谷歌地图时,无意间在埃及撒哈拉...
谷歌地球发现地球最完整陨石坑
这座位于撒哈拉沙漠偏远地区的陨石坑系研究人员使用谷歌地球发现,但最精彩的部分...
1...
上一页
170
171
172
173
174
175
176
177
178
179
...206
下一页
最新资讯
星际彗星3I/ATLAS在
星际彗星3I/ATLAS在X射线下发光,它可能隐藏着我们从未见过的气体。图片来源:ESA/...
天文学家在银河系半
半人马座欧米茄球状星团。图片来源:查克·阿尤布(蜘蛛网eeook.com)据今日科学新...
天文学家发现一个行
示例是基于每个伴星的深曝光10′′ K波段图像堆栈的Keck/NIRC2信噪比映射。这些映射...
银河系边缘巨大的新
美国宇航局的詹姆斯·韦伯太空望远镜最近在我们银河系边缘的Sh2-284星团中拍摄到了...
地球的起源故事可能
本研究假设的系统的示意图。图片来源:科学进展(2025年)。DOI: 10.1126/sciadv....
Terra Amata遗址揭
Terra Amata遗址有助于理解欧洲最早人类的技术灵活性。图片来源:西班牙国家人类进...
天文学家在金牛座发
示例:来自每个伴星的深度曝光10′′ K波段图像栈的Keck/NIRC2信噪图。这些图是通过...
太平洋深渊中伪装成
头足类分布于东北太平洋的深渊。(a) 显示每个分类单元所有目击记录的地图。(b)...
星际彗星3I/ATLAS消
彗星3I/ATLAS在这张由夏威夷Maunakea双子座北方星的双子座多天体光谱仪(GMOS)拍摄...
人工智能刚刚破解了
日冕物质抛射与太阳色球层的混合图像。图片来源:SOHO—ESA & NASA(蜘蛛网eeo...