首页
天文
航天
地球
科技
环保
医学
健康
地理
军事
历史
动物
植物
古生物
恐龙
考古
奥秘
探险
自然
外星人
水怪
野人
灵异
发明
博览
蜘蛛网
地理
美黄石公园火山隆起速度破纪录
美黄石公园火山隆起速度破纪录 美国黄石国家公园一座沉睡了64万年的超级火山,于...
美国2011年12月雨雪量
美国2011年12月雨雪量 美国宇航局地球观测站今日公布了一张测绘地图,展示了201...
俄罗斯钻透南极3769米冰层探秘2千万年前
方湖的剖面图示意,这是目前已发现南极面积最大的冰下湖 据美国国家地理网站报道...
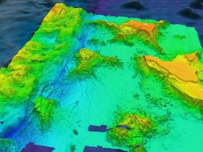
马里亚纳海沟绘制精细3D扫描图:最深处10
研究人员利用一艘配备了高科技回音测深仪的船只绘制世界最深处的3D“图” 横跨...
暴风雪袭击美国
暴风雪袭击美国 美国宇航局地球观测站(NASA Earth Observatory)今日公布了一张卫...
西班牙马略卡岛
西班牙马略卡岛 美国宇航局地球观测站(NASA Earth Observatory)今日公布了一张宇...
希腊罗德岛
希腊罗德岛 美国宇航局地球观测站公布了一张卫星照片,展示了希腊罗德岛(Rhodes...
巴哈马蓝洞发现新种细菌
巴哈马群岛的阿巴科蓝洞,勘探队潜水员格雷格-斯坦顿拖着浮游生物网在细菌垫旁边...
巴哈马群岛深海“蓝洞”中的微生物可能非
潜水探险员格雷格-斯坦登在巴哈马深海蓝洞采集微生物 日前,科学家宣称,巴哈马...
俄钻探南极两千万年前冰川湖 或将发现神
目前,俄罗斯一支科学家小组在南极洲钻探拥有2000万年历史神秘冰川湖泊时与美国同...
1...
上一页
138
139
140
141
142
143
144
145
146
147
...206
下一页
最新资讯
星际彗星3I/ATLAS在
星际彗星3I/ATLAS在X射线下发光,它可能隐藏着我们从未见过的气体。图片来源:ESA/...
天文学家在银河系半
半人马座欧米茄球状星团。图片来源:查克·阿尤布(蜘蛛网eeook.com)据今日科学新...
天文学家发现一个行
示例是基于每个伴星的深曝光10′′ K波段图像堆栈的Keck/NIRC2信噪比映射。这些映射...
银河系边缘巨大的新
美国宇航局的詹姆斯·韦伯太空望远镜最近在我们银河系边缘的Sh2-284星团中拍摄到了...
地球的起源故事可能
本研究假设的系统的示意图。图片来源:科学进展(2025年)。DOI: 10.1126/sciadv....
Terra Amata遗址揭
Terra Amata遗址有助于理解欧洲最早人类的技术灵活性。图片来源:西班牙国家人类进...
天文学家在金牛座发
示例:来自每个伴星的深度曝光10′′ K波段图像栈的Keck/NIRC2信噪图。这些图是通过...
太平洋深渊中伪装成
头足类分布于东北太平洋的深渊。(a) 显示每个分类单元所有目击记录的地图。(b)...
星际彗星3I/ATLAS消
彗星3I/ATLAS在这张由夏威夷Maunakea双子座北方星的双子座多天体光谱仪(GMOS)拍摄...
人工智能刚刚破解了
日冕物质抛射与太阳色球层的混合图像。图片来源:SOHO—ESA & NASA(蜘蛛网eeo...