马里亚纳海沟绘制精细3D扫描图:最深处10994米
研究人员利用一艘配备了高科技回音测深仪的船只绘制世界最深处的3D“图”
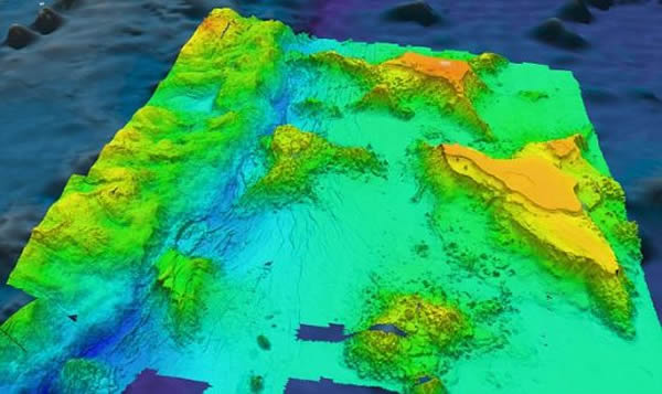
横跨该海沟的“桥梁”是在一个构造板块俯冲到另一个构造板块下方时产生的,被推倒的山脉在海沟上方形成桥梁
研究人员扫描了该海沟40万平方公里的范围。箭头指示的是发现桥梁的区域
一个海洋测绘队已经在世界最深处——西太平洋关岛附近长1500英里(2414.02公里),深6.8英里(10.94公里)的马里亚纳海沟发现4座海底“桥梁”。有些“海底山”高2500米,当一个构造板块被拖到另一个构造板块下方,就会形成横跨海沟的桥梁。
科学家还利用多束回声测深仪测量了地球最深处挑战者深渊(Challenger Deep),精确度比以往任何时候都更高。研究人员从2010年8月到10月间一直利用船侧扫描仪测绘整个马里亚纳海沟的地形结构,在此期间发现4座横跨该海沟的桥梁。这些桥梁比它下面的海床高2500米。虽然卫星图曾指出,可能有这样一座海脊横跨在马里亚纳海沟上方,但是加德纳表示,测绘任务证实这里存在4个这样的构造。他说:“这一发现令我激动不已。”
这些海脊是在已有1.8亿岁的太平洋板块与更年轻的菲律宾板块相互碰撞过程中形成的。加德纳称,由于海洋地壳会随着年龄的增加而降温,“太平洋地壳更年长,因此它正慢慢下沉到菲律宾板块下”。当太平洋板块上的海山被拖到菲律宾板块下面时(这一过程又称潜没),它们就会紧紧抵住海沟的沟壁,形成这些海脊。据加德纳猜测,这些桥梁涉及到地震俯冲带,例如造成2011年3月日本大地震的一个这种俯冲带。他说:“这是一种极其复杂的地况。这些海山死死抵住板块。”
这个测绘队还得出迄今为止最精确的挑战者深渊测量结果,这是马里亚纳海沟最深处,深达10994米,误差是40米。通过计算数千个测深,并详细分析海水是如何改变回声测深信号的,这项最新测量结果与其他有关挑战者深渊的深度的声称类似,认为它比以前推测的结果更深。加德纳注意到挑战者深渊的深度超过珠穆朗码峰的高度。他说:“当你测量深11公里的构造时,你就不得不设法应对该系统固有的不确定性。”
多束回声测深仪通过向海底发射声能量,然后对反射回来的信号进行分析,测量海底构造的深度。该仪器安装在船底,它们产生的扇形声能量覆盖海床。最终获得的图片的清晰度比其他早期测量系统更精确。阿姆斯壮及加德纳等水文学家和海洋测绘员描述了测绘一个像“修剪草坪”的区域的过程,在这里制造叠加轨迹是个问题。
新浪科技(孝文)















