太平洋塔斯曼海海底发现“失落的世界”
太平洋塔斯曼海海底发现“失落的世界”
视频:太平洋塔斯曼海海底发现“失落的世界”
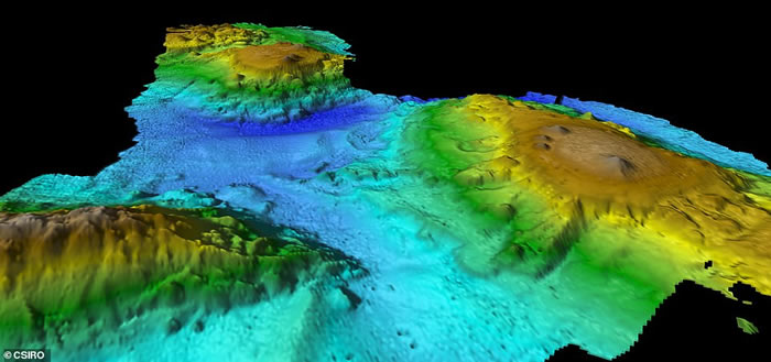
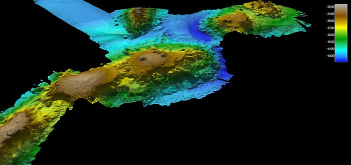
(蜘蛛网eeook.com报道)澳大利亚联邦科学与工业研究组织和澳大利亚国立大学的科学家们在考察塔斯曼海时发现了此前人眼从未看到过的群山。
ScienceAlert网站报道称,找到了一个真正的“失落的世界”。在装备在“考察员号”(Investigator)考察船上设备的帮助下发现了塔斯曼海底这个不知名的群山。
其中一些山脉的高度达到3公里,但是此前没有人注意到它们。其原因是群山的山峰和海平面被两公里的水层分开。
火山景观的尺寸和形状各不相同。这里有尖尖的山峰、低矮的锥形山丘和宽广的高原。
科学家们认为,它们在某个时期是大陆的一部分。但是由于澳大利亚与南极大陆分离这些山脉沉入了海中。这个过程大约于3000万年前完成。现在科学家们将弄清楚,哪些生物生活在“失落的世界”中。
















