美国宇航局GRAIL月球探测器成功撞月
在月球轨道运行的GRAIL探测器
美国第一位进入太空的女性萨利·赖德,在撞击成功之后,美国宇航局宣布将此次撞击地点以她的名字命名
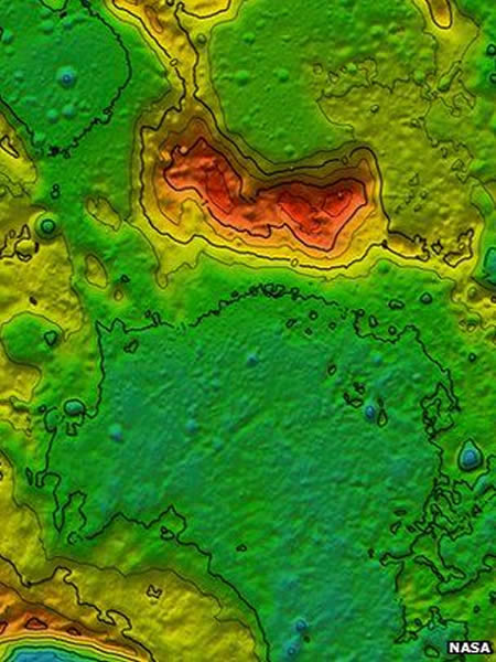
这是一张高程图,图中红色表示地势较高,这座红色的山峰便是此次GRAIL探测器撞击的地点
这是根据GRAIL的重力场数据得到的迄今最精确的月球重力场地图
综合英国广播公司及美国宇航局网站报道,美国宇航局的GRAIL月球探测器(包括两颗卫星“潮起”和“潮落”),已经在美国东部时间17日17:28,北京时间18日清晨6:28在地面控制下按计划撞击月球,从而最终为该项目画上圆满的句号。
这两艘飞船在地面指令控制下撞向了月球靠近北极附近的一座2500米高的山峰。之所以策划此次撞击,目的是避免这两艘飞船在燃料耗尽后自行坠毁可能会破坏月面上的一些重要历史遗迹,如当年阿波罗探月的着陆点等等。
格林尼治时间17日22:30(北京时间18日清晨6:30左右),美国宇航局的深空探测网(DSN)确认这两颗卫星的信号已经失去,这意味着撞击已经发生,由于撞击发生在阴影区,因此地面无法监测到闪光现象。在撞击成功之后,美国宇航局随即宣布将此次撞击的地点命名为萨利·赖德(Sally Ride),这是今年年初去世的美国历史上首位女宇航员。
GRAIL探测项目由两颗相同的卫星组成阵列开展探测工作,它们发回了大量有价值的信息。这颗探测器获得了迄今为止精度最高的月球重力场数据,这些数据将帮助科学家们解开许多有关这颗星球悬而未决的重要问题。GRAIL探测器的正式名称是“重力恢复和内部实验室”,它已经于今天清晨撞击了月球靠近北极的一座山峰,两颗卫星的撞击间隔大约为30秒。
这座山峰大约位于月面北纬75度,靠近戈德施密特陨击坑,当撞击发生时这里正处于阴影区。由于GRAIL探测器的两颗卫星都非常小,体积仅仅相当于一台家用洗衣机大小,而且燃料箱已经清空,因此科学家们预计此次撞击将无法产生从地球上可以被观测到的闪光现象。
不过由于另外一艘美国宇航局的飞船:月球勘测轨道器(LRO)正在月球轨道运行。如果运气足够好的话,月球勘测轨道器的紫外成像仪是有可能捕捉到由于此次撞击而被溅射出来的挥发性物质的。
此次任务期间,GRAIL探测器得到了精度超越历史上任何其它探测项目的月球全球重力场数据,使得目前月球的重力场测量精度甚至超过了地球。月球上显示出的这种重力场局地差异是由于月球内部的质量分布不均造成的。明显的案例可以从月球的表面上看得到:巨大的山系和深邃的撞击坑到处都是,而月球内部的物质分布也显示出明显的不均一性。
尽管目前为止来自本次探测项目的科学数据绝大部分还需要进行分析,不过仅就目前已经获得的一些初步分析结果来看,研究人员们已经取得了一些重要的成果。GRAIL项目首席科学家,美国麻省理工学院的玛丽娅·祖玻尔(Maria Zuber)教授表示:“我们取得的其中一项重要发现便是,我们意识到月壳的厚度远小于我们此前的估算。另外,我们发现月面上的一些大型撞击盆地的挖掘深度很大,甚至可能已经抵达了月幔层。这些发现对于我们研究月球以及地球的物质组成是非常有帮助的,因为我们认为地球的地幔区域物质组成成分应当是和月幔层相似的。”
探测的结果也显示月球最外层物质的孔隙密度也可能远大于人们此前的估算。这些密布的裂隙和疏松空隙都是月球在其最初形成后的数十亿年间遭受的严重撞击的见证。除此之外,GRAIL还在浅月表下方探测到疑似岩浆填充的裂隙系统的存在。这些可能是近月表的岩墙系统,其长度均绵延数百公里,其基部似乎深入月表地下,专家们认为这可能代表了月球在其早期高温膨胀过程中留下的痕迹,在那之后月球逐渐降温并收缩。
GRAIL探测器的数据对于研究月球起源将产生关键性影响。目前主流的认识是认为在数十亿年前地球遭受了一次严重的撞击,此次撞击溅射出的大量物质逐渐冷凝后形成了今天我们所看到的月球。
一些科学家甚至还曾提出这样的理论,认为在地球历史早期曾经存在两个月球。不过看起来此次GRAIL探测器获得的数据可能并不支持这样的看法。祖玻尔教授表示:“我们一直在搜寻第二颗月球存在的线索,但是在月球的内部机构方面我们没有发现任何与之相关的证据。”她说:“当然这一点本身到目前为止还并不能完全否定这种看法。我们还需要进一步审视更多细节。”
新浪科技 晨风
















