三叶虫通过它们的腿呼吸氧气
三叶虫通过它们的腿呼吸氧气
(蜘蛛网eeook.com报道)据cnBeta:外媒报道,三叶虫是化石记录中最常见的生物之一,但现在一些保存特别完好的标本揭示了一些有趣的新细节。原来三叶虫是通过它们的腿呼吸氧气的。 三叶虫是一种古老的海洋节肢动物,头部圆形、身体分节,它们可能是有史以来最成功的动物之一,在约2.7亿年的时间里顽强生存。
再加上它们容易变成化石的外壳,这意味着它们在化石记录中出现的数量如此之多以至于人们可以在博物馆礼品店极为廉价地买到它们。
虽然我们对三叶虫的了解已经相当多,但很多秘密仍隐藏在不会变成化石的柔软身体部分。然而多亏了保存它们的介质--黄铁矿,一些罕见的标本成功地捕捉到了这些粘糊糊的细节。
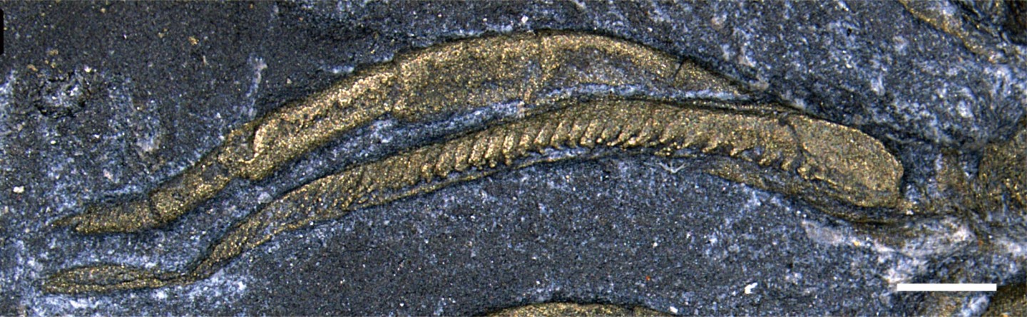
来自美国加州大学河滨分校(UCR)的研究人员使用了CT扫描仪以高分辨率绘制出标本的三维图。在CT图像中,黄铁矿在动物自身和周围岩石之间形成了鲜明的对比并突出了比通常可以看到的更精细的细节。
这项研究的其中一位论文作者Melanie Hopkins说道:“这让我们不必在覆盖标本的岩石上进行大量的钻孔和研磨就能看到化石。通过这种方式,我们甚至可以获得在显微镜下很难看到的视野--10到30微米宽的三叶虫解剖结构。”
有了如此清晰的仪器,研究人员能在三叶虫腿的上部发现以前从未见过的结构。这些鳃看起来非常像它的现代节肢动物后代比如螃蟹和龙虾的鳃。他们甚至可以辨认出血液是如何通过这些结构来输送氧气的。
这项研究的首席研究员Jin-Bo Hou指出:“虽然到目前为止,科学家们已经将三叶虫腿的上肢跟甲壳类动物的非呼吸上肢进行了比较,但我们的论文首次表明,上肢的功能相当于鳃。”
这项研究将有助于我们进一步了解这些常见生物的进化过程以及在历史上是什么引发了物种多样性的盛衰。
“我们已经知道,理论上这种变化一定跟氧气的增加有关,因为这些动物需要氧气的存在,”该研究的论文合著者Nigel Hughes说道,“但我们几乎没有能力衡量这一点。这使得这样的发现更加令人兴奋。”














